Gli uragani sono tra i fenomeni naturali più potenti e distruttivi del nostro pianeta. Si tratta di cicloni tropicali, ovvero imponenti sistemi di nuvole e temporali che si sviluppano sopra oceani con acque molto calde. Il loro “motore” è l’energia rilasciata dall’evaporazione dell’acqua marina: quando il calore e l’umidità si concentrano, l’aria calda sale rapidamente, creando una spirale di venti che può raggiungere velocità superiori ai 200 km/h.
l’autunno è una stagione chiave per la formazione degli uragani, soprattutto nell’Oceano Atlantico e nel Mar dei Caraibi. La ragione è semplice: dopo l’estate, le acque oceaniche restano ancora molto calde, mentre l’atmosfera inizia a raffreddarsi. Questo contrasto termico alimenta ulteriormente i motori delle tempeste tropicali.
La stagione ufficiale degli uragani atlantici va dal 1° giugno al 30 novembre, con il picco tra agosto e ottobre, quando le condizioni sono più favorevoli. Anche nel Pacifico e in altre aree tropicali, settembre e ottobre restano mesi ad alto rischio.
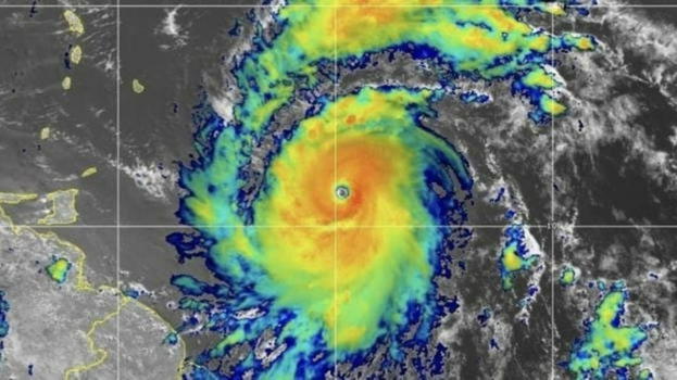
Negli ultimi giorni, l’attenzione dei meteorologi è rivolta con crescente preoccupazione verso l’Atlantico. Un sistema tropicale, denominato Gabrielle, si è rapidamente evoluto in un uragano di grande intensità, e gli esperti meteo lanciano l’allarme: il fenomeno potrebbe non limitarsi alle zone oceaniche, ma condizionare in parte le condizioni atmosferiche fino all’Europa occidentale.
Anche la nostra Penisola potrebbe fare i conti con l’arrivo di questo ciclone tropicale che ha già messo in allerta le autorità. Secondo gli esperti, esiste la concreta possibilità che masse d’aria calda e umida trasportate dalla perturbazione atlantica possano scatenare il caos. Allerta in tutte le regioni: scopriamo cosa succederà nella pagina successiva. Un fine settimana di forte maltempo si prepara a investire l'Italia, segnando un brusco ritorno...